Menu
Obec Zduchovice
ObecZduchovice

Uzavírka komunikace v Žebrákově

Uzavírka komunikace Žebrákov, Zduchovice - Etapy a harmonogram prací

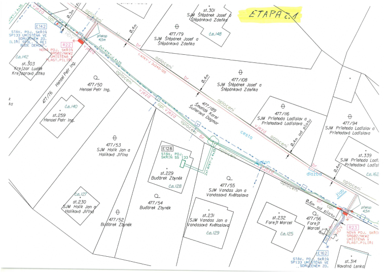
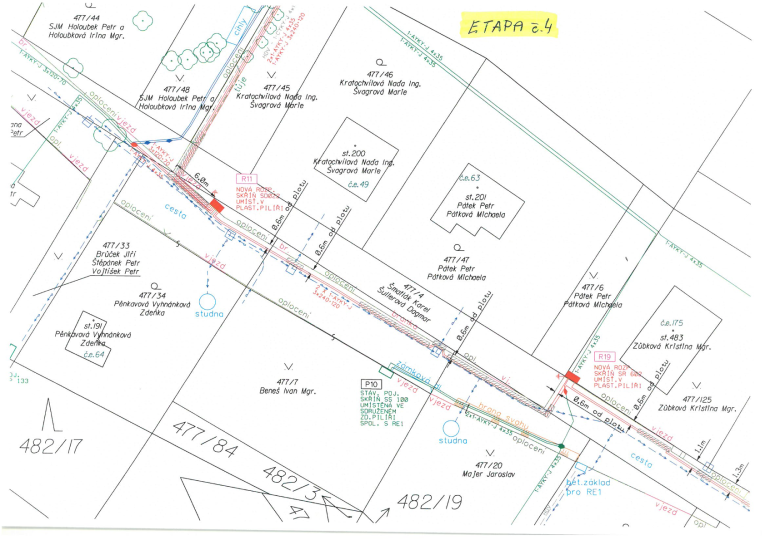
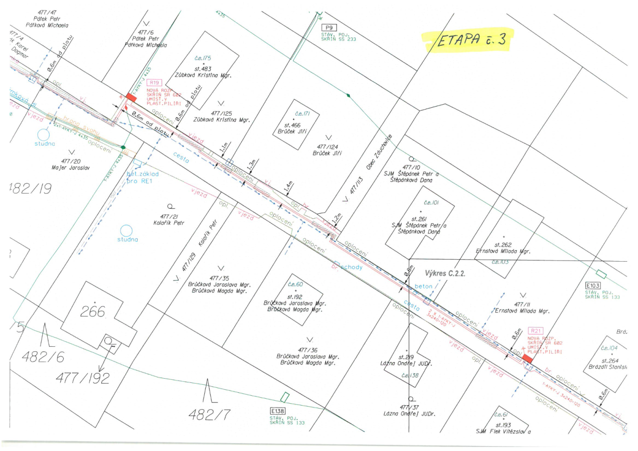
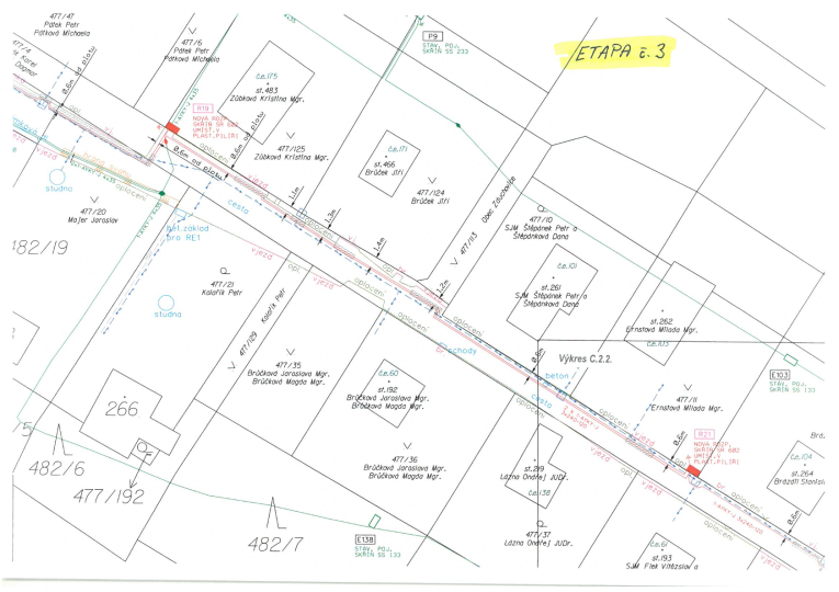
V chatové osadě Žebrákov je z důvodu posílení elektr. soustavy a vedení nového kabelu uzavřena účelová komunikace. Jedná se o veřejnou komunikaci mezi rekreačními objekty č. ev. 64 až 132, která je uzavírána etapově od ledna do března 2026. Z důvodu uzavírky bude omezen přístup k rekreačním chatám.

Přílohy

2026_01-3_Omezení_komunikace-Žebrákov_kabel_NN_ETAPY_Cihelka.pdf

2026_01-3_Omezení_komunikace-Žebrákov_kabel_NN_ETAPY_Cihelka.pdf
Typ souboru: PDF dokument, Velikost: 1,78 MB
Datum vložení: 14. 1. 2026 9:04
Datum poslední aktualizace: 14. 1. 2026 9:15
Autor: Správce Webu

Mapový portál

Mapový portál

Mapový portál

Předpověď počasí

dnes, sobota 7. 2. 2026
slabý déšť 3 °C -1 °C
neděle 8. 2. déšť se sněhem 2/0 °C
pondělí 9. 2. mírné sněžení 2/0 °C
úterý 10. 2. mírné sněžení 3/0 °C

Aktuální teplota

7.2.2026 12:31

Aktuální teplota:

9.6 °C

Vlhkost:

96.1 %

Rosný bod:

9.0 °C

Víceúčelové hřiště

Víceúčelové hřiště

Hřiště


Zduchovice

Obec Zduchovice leží 16 km jihovýchodně od Příbrami v malebném koutě středního Povltaví. První historická zmínka o ní je z roku 1045, kdy kníže Břetislav daroval 3 lidi ze samoty Zduchovice Klášteru Břevnovskému. Jměním Kláštera Břevnovského byly Zduchovice až do roku 1270, kdy je získal král Přemysl Otakar II. a připojil je ke hradu Kamýku, k němuž náležely až do roku 1579. Tvrz ve Zduchovicích postavena až v 16. století za Vojkovských z Milhostic. V roce 1741 přestavěna na zámek s kaplí sv. Norberta. V té době již byly Zduchovice majetkem kláštera Strahovského, který je měl v držení od roku 1682 až do roku 1926...
více...


Pořízení nových webových stránek v roce 2022, bylo financováno z projektu "Přívětivé úřady regionu Sedlčanska",

číslo projektu:  CZ.03.4.74/0.0/0.0/19_109/0016842.

Logo MPSV publicita